Хочу начать с главного, что никаких химических препаратов для этого я не покупаю! Итак, перейдем сразу к делу.
Первый способ
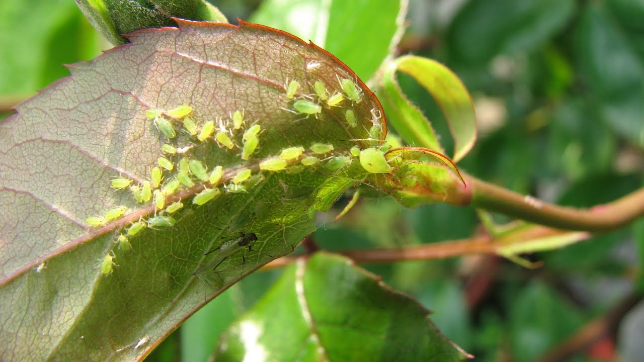
Удаляем тлю руками в перчатках. Важно — в резиновых перчатках. Для меня не представляет сложности раздавить тлю на розах или декоративных кустарниках. Она сидит скопом.

И даже если всю ее не раздавишь, в этих местах она долго не появляется. Немного неприятная процедура, но женские руки знают и более грязную работу.
Второй способ
Собираем тлю на скотч. При помощи скотча. На более хрупких стеблях растений тлю удаляю скотчем.

Односторонний или двухсторонний, разницы нет. Оборачиваю руку скотчем клейкой стороной вверх и прикладываю к местам с тлей.
Насекомые прилипают к клею. Очень рекомендую такой способ. Дешево и эффективно.
Третий способ
Широкие кольца-ловушки из скотча. Самодельные клеевые кольца. По две широкие полоски скотча приклеиваем к стволам деревьев. Насекомые прилипают к полоскам.

Также они сбивают их с дороги к своим дойным коровкам — тле. Можно купить, конечно, и специальные ловчие пояса в магазине. Тоже хорошее средство.
Четвертый способ
Брызги воды тля не любит. Вода под напором. При поливе огорода мы также опрыскиваем яблони и другие деревья сильной струей воды (воду качает домашняя скважина).

Это помогает предотвращать появление муравьев и тли.
Пятый способ
Лаванда отпугивает муравьев. Ароматные растения. На участке у нас растет, например, лаванда.

Это растение муравьи и тля точно не любят и обходят стороной.
Шестой способ
Медь. Этот метод борьбы с муравьями в теплицах описан в моем материале «Зачем я разбрасываю медные монеты в огороде». 🐜
👍 Вышеописанные способы не позволяют муравьям и тле становиться угрозой для моего сада и огорода.
А на борьбу с ними не расходуются деньги.







